京楼多个新地块曝光亮相看房企产品如何展开贴身肉搏!
本期看点:
1、 海淀永丰两新盘即将入市保利海开两项目房企即将展开贴身肉搏
2、 房山大体量新盘入市5-8层一水儿洋房产品套均111平米
3、 朝阳北路再现新地块位置不错只要价格合适关注低不了
4、 懋源顺义后沙峪底价拿地大概率将以改善或豪宅产品为主
上周北京市规自委的页面又有几个新地块报规了,首先是海开在海淀西北旺的永丰地块,项目一共分为南北两块地,其中北地块一共6栋住宅楼,包含了6-15层的洋房和小高层产品,南地块一共9栋住宅楼全部为14-15层的小高层产品,我找区域内的业务员打听了下,据说海开本次的产少量99的户型,其余全部为130-170平米的改善产品,这一点跟保利天珺的产品还是有些差异的,虽然面积段里都包含100-170的产品,但是保利的主力户型放在了100-130平米之间,户型相对更小总价也相对更低,而且听说装标还特别高,那至于是海开的产品更好还是保利的产品更优,咱们可以一起期待一下,看看这两家房企是如何贴身肉搏的。

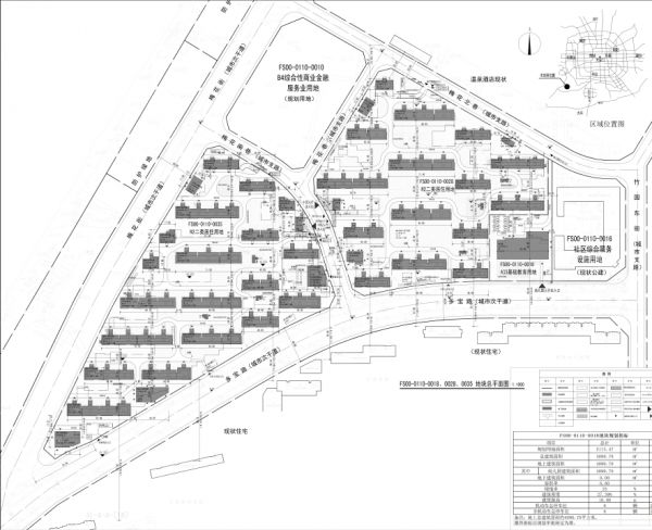
接着房山的北京城建颐知筑上周也在规自委的页面公示报规了,一共1200多套房整个社区的规划是真不小,同样也是分了东西两块地,其中东地块一共15栋住宅楼,全部为6-8层的洋房产品共计572户,西地块一共19栋住宅楼,全部为5-8层的洋房产品共计634户,两块地的套均面积都在111平米左右,对于想在房山上车的刚改和一部分改善客户来说可以关注一下

另外两块报规的是朝阳三间房棚户改造地块,目前还没有在规自委的页面正式挂出来,不过两块地的位置都不错,一块靠近朝阳北路6号线褡裢坡站,另外一块靠近朝阳路,边上有在建的地铁22号线,之前区域内的和光煦境和玺悦朝阳开盘卖的都还不错截止目前网签都已经超过了90%以上,不管将来这两块会做什么属性的房子只要价格合适相信关注都低不了。
最后上周京楼市场再成交一宗新地,顺义后沙峪的西泗上村地块被懋源以43.2亿底价拿下,成交楼面价2.53万销售指导价为6.1万,该地块的容积率仅为1.1同时又是被懋源拿走的,所以将来大概率是奔着大改善或者豪宅产品去了。

好了各位咱们下期见返回搜狐焦点首页,查看更多
网址:京楼多个新地块曝光亮相看房企产品如何展开贴身肉搏! https://www.jiaju82.com/news-view-id-872747.html

